Diptera.info :: Identification queries :: Diptera (adults)
|
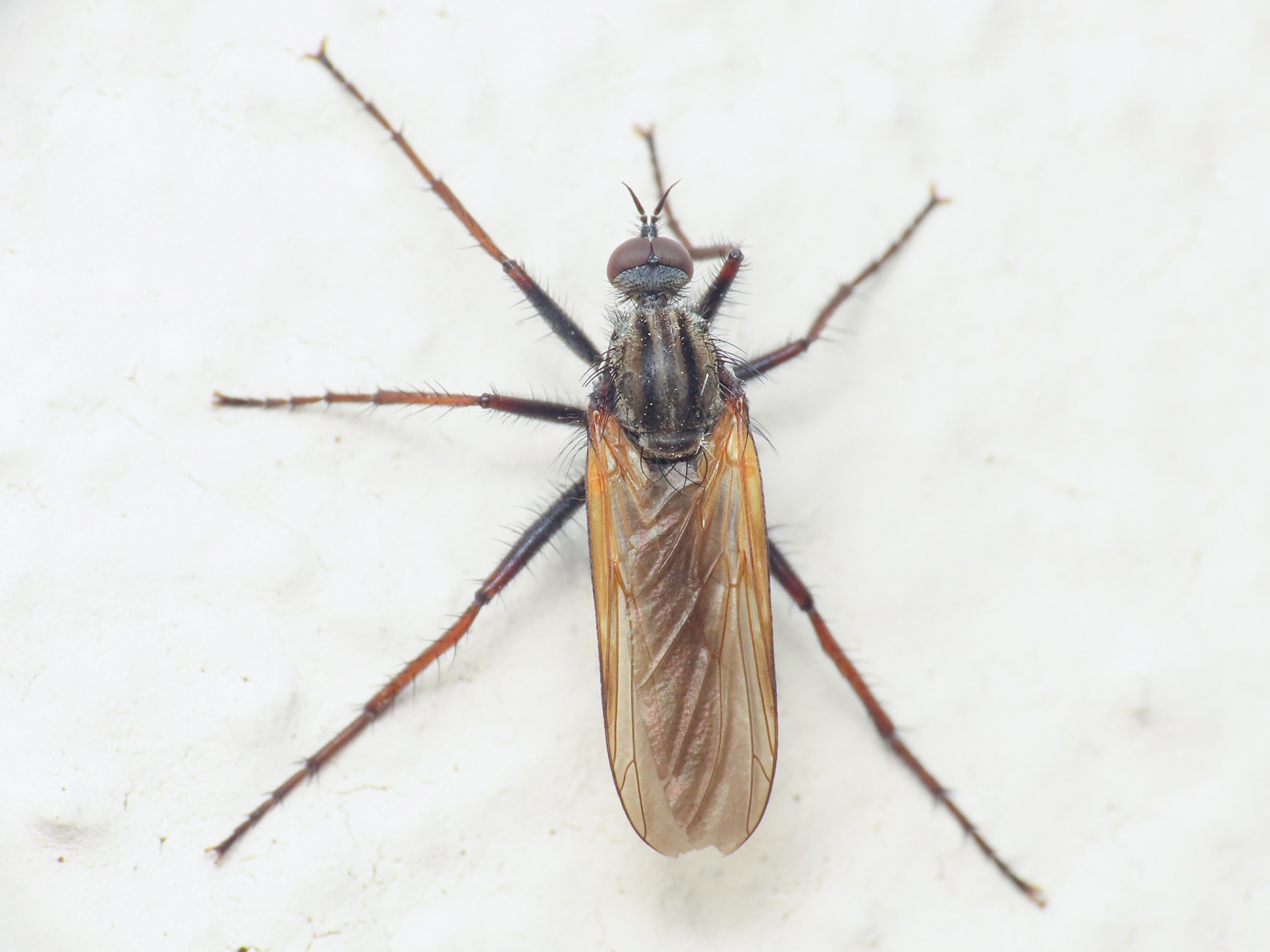
Empididae: Empis tessellata ♂
|
|
| ESant |
Posted on 18-06-2021 21:12
|
|
Member Location: L'Aquila, Italy Posts: 2264 Joined: 20.09.20 |
Hello, I photographed this fly in Bazzano (AQ), Italy on May 17th 2021. I think it is an Empis, but is it possible to identify its species from these photos? Thank you in advance, Emanuele ESant attached the following image: ![]() [300.05Kb] Edited by ESant on 19-06-2021 10:29 |
|
|
|
| ESant |
Posted on 18-06-2021 21:12
|
|
Member Location: L'Aquila, Italy Posts: 2264 Joined: 20.09.20 |
Photo 2:
ESant attached the following image: ![]() [293.3Kb] |
|
|
|
| eklans |
Posted on 19-06-2021 09:33
|
|
Member Location: Franconia, Germany Posts: 4527 Joined: 11.11.18 |
Hi Emanuele, quite sure, it's a male E. tesselata.
Greetings, Eric |
|
|
|
| ESant |
Posted on 19-06-2021 10:29
|
|
Member Location: L'Aquila, Italy Posts: 2264 Joined: 20.09.20 |
Thank you very much Eric! |
|
|
|
| Jump to Forum: |














