Diptera.info :: Identification queries :: Diptera (adults)
Who is here? 1 guest(s)
|
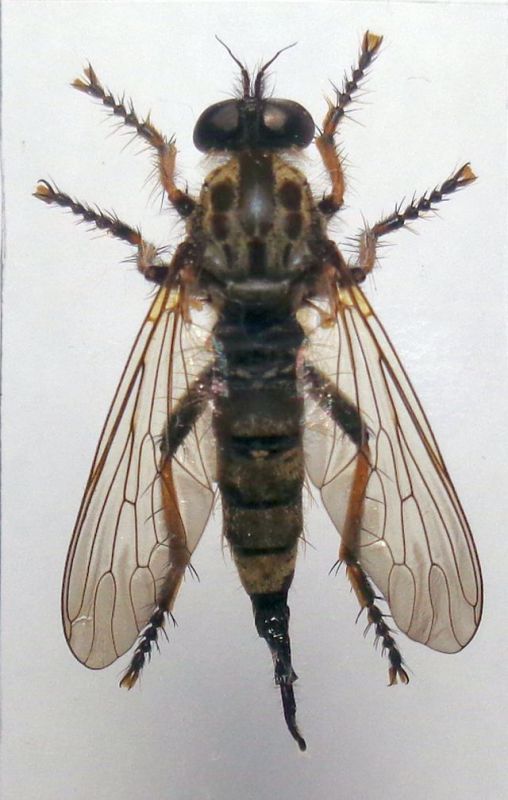
Neoitamus sp. ♀ - Asilidae
|
|
| Chalybion |
Posted on 30-07-2025 20:32
|
|
Member Location: Italy, Ravenna province Posts: 29 Joined: 10.07.25 |
Hi to all; I have this female specimen of 15 mm coming from fossil woody sandy dunes of Massenzatica (Emilia-Romagna region, Ferrara province), I 've collected the 8.VI.2023; Carlo Monari proposed to me N. socius (Loew, 1871) (cf.) on Forum Entomologi Italiani (with more pics) and proposed also to post here for ID. Several microtrichia are concentrated between arrows in radial cell. Is it possible to ID the species, as the Geller-Grimm key do not compare castellanii and splendidus, both italian species (almost in italian CKList) and the gallery do not shows females. Any key for all italian species? Giorgio. Chalybion attached the following image: ![]() [57.68Kb] Edited by Chalybion on 30-07-2025 21:06 |
|
|
|
| Chalybion |
Posted on 30-07-2025 20:54
|
|
Member Location: Italy, Ravenna province Posts: 29 Joined: 10.07.25 |
in lateral view
Chalybion attached the following image: ![]() [29.41Kb] Edited by Chalybion on 30-07-2025 20:58 |
|
|
|
| Chalybion |
Posted on 30-07-2025 20:55
|
|
Member Location: Italy, Ravenna province Posts: 29 Joined: 10.07.25 |
head in lateral view
Chalybion attached the following image: ![]() [55.99Kb] Edited by Chalybion on 30-07-2025 20:58 |
|
|
|
| Chalybion |
Posted on 30-07-2025 20:56
|
|
Member Location: Italy, Ravenna province Posts: 29 Joined: 10.07.25 |
the ovopositor in lateral view
Chalybion attached the following image: ![]() [85.12Kb] Edited by Chalybion on 30-07-2025 21:00 |
|
|
|
| Chalybion |
Posted on 30-07-2025 20:57
|
|
Member Location: Italy, Ravenna province Posts: 29 Joined: 10.07.25 |
and microtrichia in radial cell.
Chalybion attached the following image: ![]() [33.85Kb] |
|
|
|
| Jump to Forum: |

















