Diptera.info :: Identification queries :: Diptera (adults)
Who is here? 1 guest(s)
|
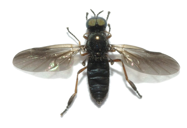
Blackish Stratomyidae, NE Hungary, April
|
|
| pwalter |
Posted on 27-04-2009 22:56
|
|
Member Location: Miskolc, Hungary Posts: 3555 Joined: 06.11.08 |
A soldier fly from forest, near brook. Can it be determined? Male?
pwalter attached the following image: ![]() [84.21Kb] |
|
|
|
| Tony Irwin |
Posted on 28-04-2009 04:18
|
|
Member Location: Norwich, England Posts: 7347 Joined: 19.11.04 |
Beris chalybata
Tony ---------- Tony Irwin |
|
|
|
| pwalter |
Posted on 28-04-2009 07:27
|
|
Member Location: Miskolc, Hungary Posts: 3555 Joined: 06.11.08 |
Thank You Tony! |
|
|
|
| Jump to Forum: |













