Diptera.info :: Identification queries :: Diptera (adults)
|
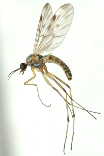
Anisopodidae, Hungary, April > Sylvicola (S.) cinctus
|
|
| pwalter |
Posted on 06-04-2009 23:35
|
|
Member Location: Miskolc, Hungary Posts: 3555 Joined: 06.11.08 |
Hi! Can someone help me with this one? Can it be ID-d by picture? If not, how should I take photos of terminelia? Dissected or not? Lateral or Dorsal? NE Hungary, forest, drinking tree-sap. pwalter attached the following image: ![]() [132.02Kb] Edited by pwalter on 07-04-2009 17:47 |
|
|
|
| pwalter |
Posted on 06-04-2009 23:36
|
|
Member Location: Miskolc, Hungary Posts: 3555 Joined: 06.11.08 |
2
pwalter attached the following image: ![]() [89.95Kb] |
|
|
|
| Xespok |
Posted on 07-04-2009 06:01
|
|
Member Location: Debrecen, Hungary Posts: 5551 Joined: 02.03.05 |
No. genitalia needed. The same view is helpful as for Chironomidae.
Gabor Keresztes Japan Wildlife Gallery Carpathian Basin Wildlife Gallery |
| Paul Beuk |
Posted on 07-04-2009 07:16
|
|
Super Administrator Location: Netherlands Posts: 19403 Joined: 11.05.04 |
Most likely Sylvicola (S.) cinctus, male.
Paul - - - - Paul Beuk on https://diptera.info |
| pwalter |
Posted on 07-04-2009 13:45
|
|
Member Location: Miskolc, Hungary Posts: 3555 Joined: 06.11.08 |
Does this pic help?
pwalter attached the following image: ![]() [110.43Kb] |
|
|
|
| Jan Willem |
Posted on 07-04-2009 14:47
|
|
Member Location: Waalwijk, The Netherlands Posts: 2170 Joined: 24.07.04 |
Yes, Sylvicola cinctus indeed. Jan Willem van Zuijlen |
|
|
|
| pwalter |
Posted on 07-04-2009 17:50
|
|
Member Location: Miskolc, Hungary Posts: 3555 Joined: 06.11.08 |
Many thanks for everyone! |
|
|
|
| Jump to Forum: |
















