Diptera.info :: Identification queries :: Diptera (adults)
Who is here? 1 guest(s)
|
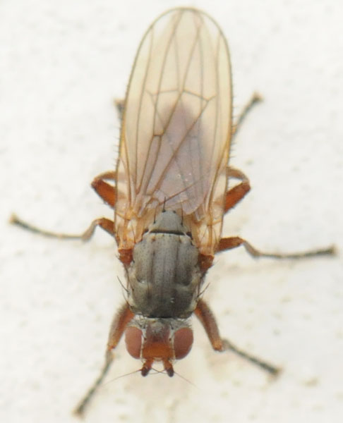
Heleomyzidae ? (Heleomyza sp m)
|
|
| Christine Devillers |
Posted on 23-11-2008 18:45
|
|
Member Location: Spa, Belgium Posts: 1215 Joined: 11.11.07 |
Could it be a male of Tephrochlamys ? Spa,Belgium,19-11-2008. Christine Devillers attached the following image: ![]() [47.4Kb] Edited by Christine Devillers on 24-11-2008 15:11 |
|
|
|
| Christine Devillers |
Posted on 23-11-2008 18:46
|
|
Member Location: Spa, Belgium Posts: 1215 Joined: 11.11.07 |
2
Christine Devillers attached the following image: ![]() [48.86Kb] |
|
|
|
| Christine Devillers |
Posted on 23-11-2008 18:48
|
|
Member Location: Spa, Belgium Posts: 1215 Joined: 11.11.07 |
3
Christine Devillers attached the following image: ![]() [42.86Kb] |
|
|
|
| Christine Devillers |
Posted on 23-11-2008 18:49
|
|
Member Location: Spa, Belgium Posts: 1215 Joined: 11.11.07 |
4
Christine Devillers attached the following image: ![]() [40.51Kb] |
|
|
|
| Andrzej |
Posted on 23-11-2008 19:18
|
|
Member Location: Poland Posts: 2433 Joined: 05.01.06 |
Probably a male of Heleomyza ! Andrzej dr. A. J. Woznica, Institute of Environmental Biology, Wroclaw University of Environmental & Life Sciences |
|
|
|
| Christine Devillers |
Posted on 23-11-2008 21:41
|
|
Member Location: Spa, Belgium Posts: 1215 Joined: 11.11.07 |
Thanks, could you tell me the features that you've seen on those photos to go to Heleomyza ? (I forgot to give the size. It was about 8mm) Edited by Christine Devillers on 23-11-2008 21:43 |
|
|
|
| Andrzej |
Posted on 23-11-2008 22:17
|
|
Member Location: Poland Posts: 2433 Joined: 05.01.06 |
A typical postabdomen for Heleomyza ! as could be shown by Gorodkov, 1962. Other characters: two egually orbital bristles , genal setulae well developed ect... Unfortunately the prosternum is not visible (should be more than 2 pairs of setulae present). The species could be H. serrata or H. captiosa (rather serrata causing rounded epandrium). If am wrong a glass of vine will be wait for you ! (of course in Poland !). of course should be wine not the latin name. In vino veritas !
Edited by Andrzej on 23-11-2008 23:29 dr. A. J. Woznica, Institute of Environmental Biology, Wroclaw University of Environmental & Life Sciences |
|
|
|
| Christine Devillers |
Posted on 24-11-2008 15:39
|
|
Member Location: Spa, Belgium Posts: 1215 Joined: 11.11.07 |
Thanks, but I have no ventral photos and didn't capture it, so...........no glass of wine. ![]() |
|
|
|
| Jump to Forum: |

















