Diptera.info :: Identification queries :: Diptera (adults)
|
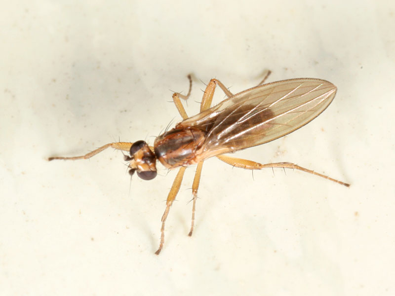
Lonchoptera lutea ?
|
|
| Robert Heemskerk |
Posted on 22-11-2008 17:30
|
|
Member Location: Amsterdam, Netherlands Posts: 2082 Joined: 17.10.05 |
Hi flyforum, Is this Lonchoptera lutea ? I found it 13-11-2008, Ijhorst - Overijssel - The Netherlands Meadow-land on the edge of the forest, on package of grass. Robert, Robert Heemskerk attached the following image: ![]() [73.44Kb] Greeting, Robert Heemskerk ---- WWW: http://robertheem...ndedag.htm --- |
| Robert Heemskerk |
Posted on 22-11-2008 17:30
|
|
Member Location: Amsterdam, Netherlands Posts: 2082 Joined: 17.10.05 |
pict 2
Robert Heemskerk attached the following image: ![]() [70.53Kb] Edited by Robert Heemskerk on 22-11-2008 17:31 Greeting, Robert Heemskerk ---- WWW: http://robertheem...ndedag.htm --- |
| Nikita Vikhrev |
Posted on 22-11-2008 20:17
|
|
Member Location: Moscow, Russia Posts: 9561 Joined: 24.05.05 |
For me, Lonchoptera lutea seems correct.
Nikita Vikhrev - Zool Museum of Moscow University |
|
|
|
| Xespok |
Posted on 22-11-2008 20:53
|
|
Member Location: Debrecen, Hungary Posts: 5551 Joined: 02.03.05 |
Nikita (or others), do you have any literture in English (or German) on Lonchopteridae that you could send me?
Gabor Keresztes Japan Wildlife Gallery Carpathian Basin Wildlife Gallery |
| Stephane Lebrun |
Posted on 22-11-2008 21:05
|
|
Member Location: Le Havre, France Posts: 8248 Joined: 03.03.07 |
See you PM.
Stephane. |
|
|
|
| Robert Heemskerk |
Posted on 22-11-2008 22:24
|
|
Member Location: Amsterdam, Netherlands Posts: 2082 Joined: 17.10.05 |
Thank you Nikita
Greeting, Robert Heemskerk ---- WWW: http://robertheem...ndedag.htm --- |
| Jump to Forum: |















