Diptera.info :: Identification queries :: Diptera (adults)
|
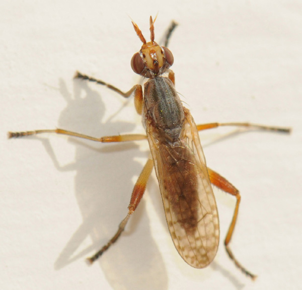
Sciomyzidae (Dichetophora obliterata f)
|
|
| Christine Devillers |
Posted on 21-11-2008 23:17
|
|
Member Location: Spa, Belgium Posts: 1215 Joined: 11.11.07 |
Is this a female of Dichetophora obliterata ? (Spa,Belgium,19-11-2008) Christine Devillers attached the following image: ![]() [85.94Kb] Edited by Christine Devillers on 22-11-2008 13:07 |
|
|
|
| Christine Devillers |
Posted on 21-11-2008 23:26
|
|
Member Location: Spa, Belgium Posts: 1215 Joined: 11.11.07 |
pic 2
Christine Devillers attached the following image: ![]() [103.74Kb] |
|
|
|
| Christine Devillers |
Posted on 21-11-2008 23:28
|
|
Member Location: Spa, Belgium Posts: 1215 Joined: 11.11.07 |
pic 3
Christine Devillers attached the following image: ![]() [66.62Kb] |
|
|
|
| Nikita Vikhrev |
Posted on 22-11-2008 08:52
|
|
Member Location: Moscow, Russia Posts: 9561 Joined: 24.05.05 |
Yes
Nikita Vikhrev - Zool Museum of Moscow University |
|
|
|
| Christine Devillers |
Posted on 22-11-2008 13:08
|
|
Member Location: Spa, Belgium Posts: 1215 Joined: 11.11.07 |
Thanks Nikita ![]() |
|
|
|
| Jump to Forum: |
















