Diptera.info :: Family forums :: Syrphidae
Who is here? 1 guest(s)
|
Brachyopa scutellaris ? --> Yes, male
|
|
| bertrandpami |
Posted on 21-03-2026 11:19
|
|
Member Location: France (near Compiègne) Posts: 1232 Joined: 10.06.11 |
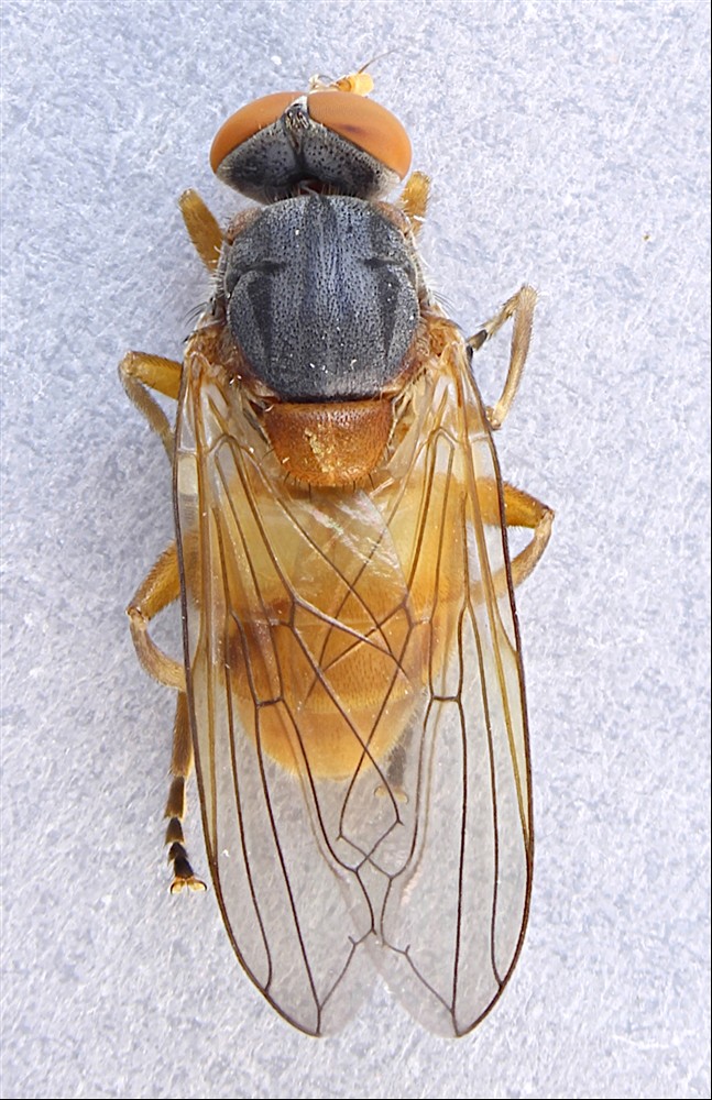
Hi, On a forest path. Cuise-La-Motte (Northen France) - 18-03-2025 - 7 mm Good id ? Many thanks. Michel bertrandpami attached the following image: ![]() [162.1Kb] Edited by bertrandpami on 27-03-2026 15:34 |
|
|
|
| bertrandpami |
Posted on 21-03-2026 11:19
|
|
Member Location: France (near Compiègne) Posts: 1232 Joined: 10.06.11 |
Other view :
bertrandpami attached the following image: ![]() [198.07Kb] |
|
|
|
| bertrandpami |
Posted on 24-03-2026 11:14
|
|
Member Location: France (near Compiègne) Posts: 1232 Joined: 10.06.11 |
With this, it's seems good, no ?
bertrandpami attached the following image: ![]() [234.06Kb] |
|
|
|
| bertrandpami |
Posted on 27-03-2026 11:26
|
|
Member Location: France (near Compiègne) Posts: 1232 Joined: 10.06.11 |
Nobody ? |
|
|
|
| eklans |
Posted on 27-03-2026 14:46
|
|
Member Location: Franconia, Germany Posts: 4569 Joined: 11.11.18 |
Male Brachyopa scutellaris is correct.
Greetings, Eric |
|
|
|
| bertrandpami |
Posted on 27-03-2026 15:34
|
|
Member Location: France (near Compiègne) Posts: 1232 Joined: 10.06.11 |
Many thanks, Eric. Best greetings. Michel |
|
|
|
| Jump to Forum: |















