Diptera.info :: Identification queries :: Diptera (adults)
|
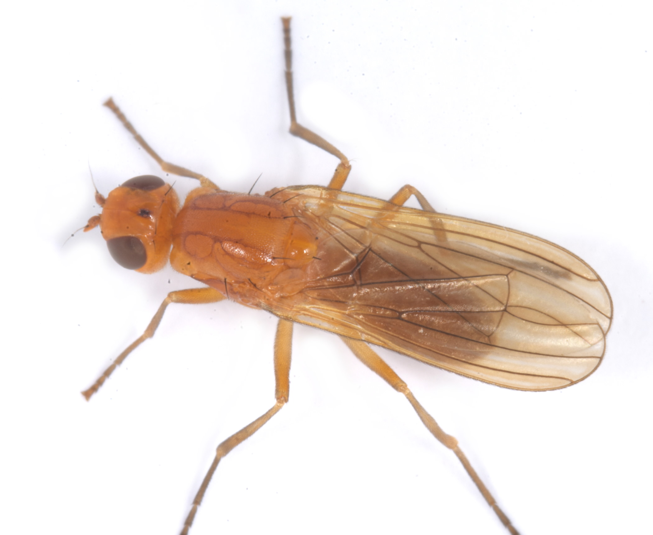
Psila? - Psila fimetaria
|
|
| Morten A Mjelde |
Posted on 06-11-2021 10:06
|
|
Member Location: Posts: 6434 Joined: 29.11.15 |
South Norway, Telemark 27 June.
Morten A Mjelde attached the following image: ![]() [277.57Kb] Edited by Morten A Mjelde on 06-11-2021 14:35 |
|
|
|
| Morten A Mjelde |
Posted on 06-11-2021 10:06
|
|
Member Location: Posts: 6434 Joined: 29.11.15 |
2
Morten A Mjelde attached the following image: ![]() [285.23Kb] |
|
|
|
| Morten A Mjelde |
Posted on 06-11-2021 10:07
|
|
Member Location: Posts: 6434 Joined: 29.11.15 |
3
Morten A Mjelde attached the following image: ![]() [278.3Kb] |
|
|
|
| Morten A Mjelde |
Posted on 06-11-2021 10:08
|
|
Member Location: Posts: 6434 Joined: 29.11.15 |
4
Morten A Mjelde attached the following image: ![]() [278.44Kb] |
|
|
|
| eklans |
Posted on 06-11-2021 13:55
|
|
Member Location: Franconia, Germany Posts: 4525 Joined: 11.11.18 |
Hi Morten, I think it's Psila fimetaria: the thoracic markings and the black base of the arista. https://micropezi...my/term/83 Greetings, Eric |
|
|
|
| Morten A Mjelde |
Posted on 06-11-2021 14:35
|
|
Member Location: Posts: 6434 Joined: 29.11.15 |
Looks right! Thank you very much! Morten |
|
|
|
| Jump to Forum: |
















