Diptera.info :: Identification queries :: Diptera (adults)
|
Chironomidae --> No, Chaoborus sp.
|
|
| bertrandpami |
Posted on 06-09-2021 15:48
|
|
Member Location: France (near Compiègne) Posts: 1228 Joined: 10.06.11 |
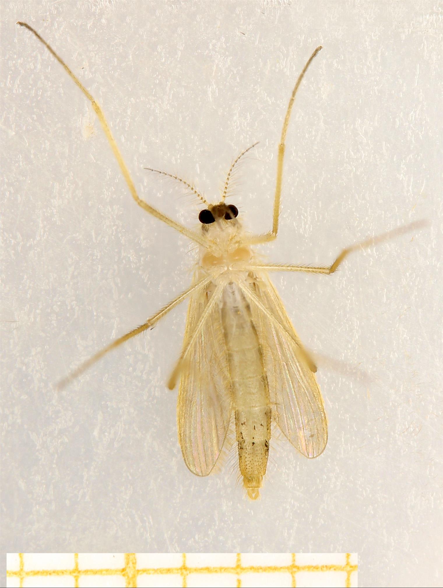
Hi, At light yesterday (Cuise-La-Motte, Northen France). Many thanks for help. Michel bertrandpami attached the following image: ![]() [258.9Kb] Edited by bertrandpami on 22-09-2021 09:45 |
|
|
|
| bertrandpami |
Posted on 06-09-2021 15:50
|
|
Member Location: France (near Compiègne) Posts: 1228 Joined: 10.06.11 |
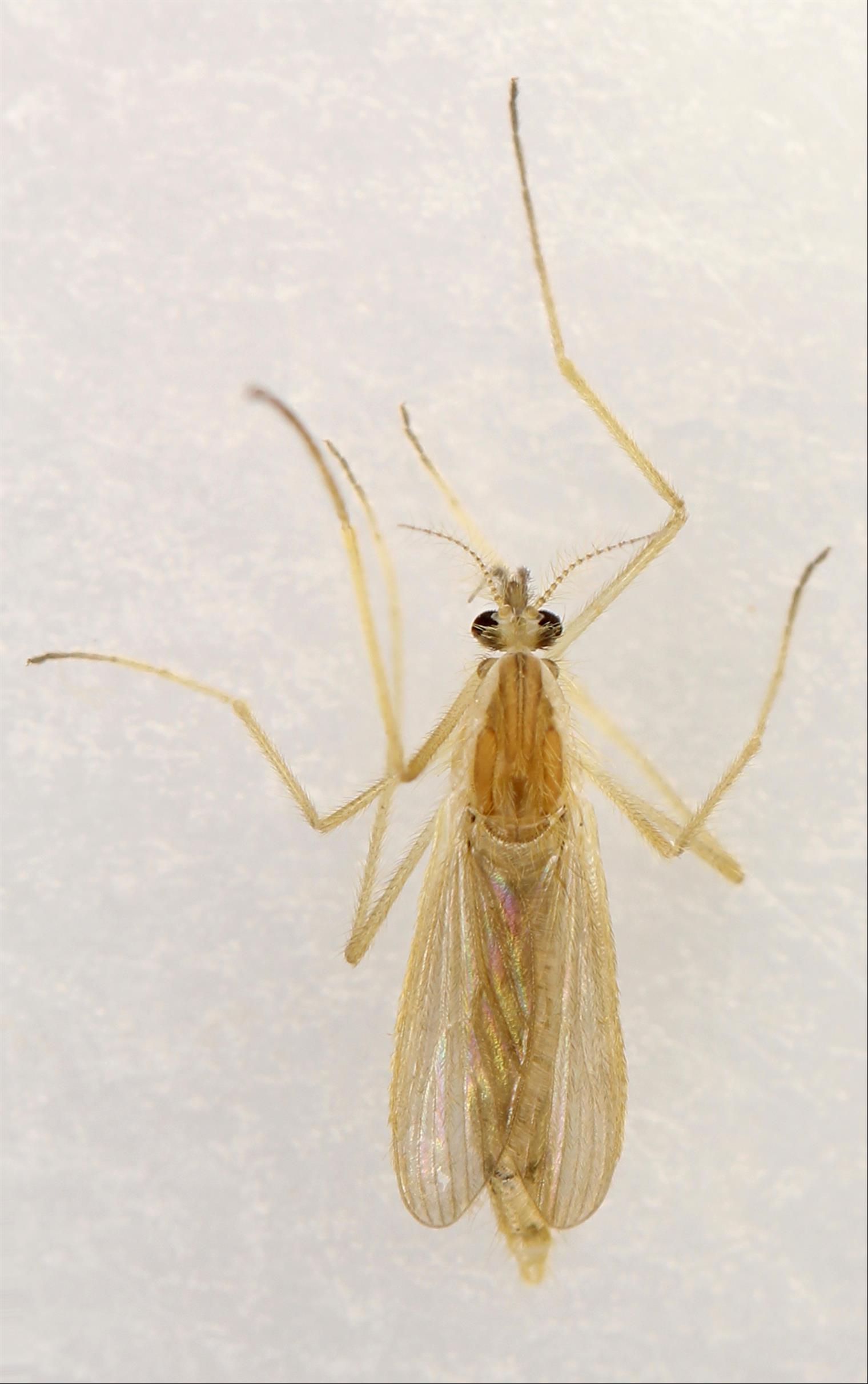
Other view :
bertrandpami attached the following image: ![]() [185.31Kb] |
|
|
|
| bertrandpami |
Posted on 06-09-2021 15:50
|
|
Member Location: France (near Compiègne) Posts: 1228 Joined: 10.06.11 |
Last :
bertrandpami attached the following image: ![]() [133.7Kb] |
|
|
|
| John Carr |
Posted on 06-09-2021 16:38
|
|
Super Administrator Location: Colorado, USA Posts: 10655 Joined: 22.10.10 |
Chaoborus. Too many veins for Chironomidae. |
| bertrandpami |
Posted on 06-09-2021 16:58
|
|
Member Location: France (near Compiègne) Posts: 1228 Joined: 10.06.11 |
Many thanks and best regards. Michel |
|
|
|
| Jump to Forum: |
















